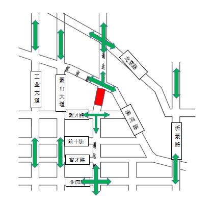
齐鲁网·闪电新闻9月27日讯 记者从临沂交警部门获悉,因兰山区通达路祊河桥两岸立交改造工程南立交通达路主路坡改施工,为确保道路交通安全和施工顺利进行,将于2022年10月2日00:00至2022年10月4日24:00,对通达路(滨河路至聚才路)全封闭施工。

施工期间全封闭该处交通,滨河路东西方向保持畅通,聚才路东西方向保持畅通,南北方向通行车辆和行人可选择合适路线绕行。
请过往机动车、非机动车驾驶人和行人注意安全,提前选择合适绕行路线,并服从现场民警和管理人员的指挥。
闪电新闻记者 李春晓 临沂报道